Археологи выяснили, как был построен древнейший новгородский мост
Водолазная площадка для археологических подводных исследований.
Великий новгородский мост Х века, остатки которого обнаружили археологи на дне Волхова в 2018 году, был сложным инженерным сооружением, поставленным на ряжи — к такому выводу пришли ученые Института археологии РАН. Они проанализировали особенности подводных конструкций и выяснили, что расстояние между пролетами была не менее 17 метров, что свидетельствует о высоком мастерстве древних строителей.
«Древний мост был сложным инженерным сооружением, большим и весьма дорогостоящим, с очень длинными пролетами — не менее 17 метров. Длинный пролет из дерева — это очень непростое конструктивное решение. Такие конструкции известны в мостостроении, но для X века это был очень высокий уровень архитектурного мастерства», — сообщил руководитель Новгородской подводно-археологической экспедиции Центра подводного археологического наследия ИА РАН Айвар Степанов.
Мост через Волхов. Открытка начала ХХ века.
Принято считать, что в первой половине X века в Новгороде еще не было собственного городского поселения, и город состоял из трех посёлков родовой аристократии — будущих районов (концов) города: Неревского и Людина на левом берегу, Славенского на правом. Вокруг центральных усадеб были расположены пашни, пересечённые грунтовыми проселочными дорогами. Самые ранние культурные слои, относящиеся к Х веку, археологи обнаружили на Софийской стороне, в северной части новгородского Детинца, южнее Детинца, а также на Торговой стороне: находки из раскопов датируются периодом от 930 до 974 года.
И летописи, и Лицевой летописный свод содержат упоминания о новгородском мосте, который соединял Софийскую и Торговую стороны. Самые раннее упоминания о мосте встречается в достаточно спорном историческом источнике — Иоакимовской летописи, которая сохранилась лишь в пересказе историка XVIII века Василия Никитича Татищева. В нем описывается крещение новгородцев зимой 989-990 года Иоакимом Корсуняниным: чтобы не допустить на левый берег крестителей, новгородцы разбили часть моста, а на оставшуюся часть установили метательные орудия. «В Hовеграде людие, ... разметавши мост великий, изыдоша с оружием, ... и вывесше два порока великие со множеством камения, поставиша на мосту, яко на сусчия враги своя». Но это им не помогло, и уже на следующий день «... не хотясчих креститися воини влачаху и кресчаху, мужи выше моста, а жены ниже моста», - пишет Татищев.
Миниатюры из Лицевого Летописного свода с изображением Великого моста в Новгороде.
Существование древнего моста, соединявшего берега Волхова в Х веке, было подтверждено результатами подводных археологических работ. С 2005 года дно Волхова изучают специалисты Новгородской подводно-археологической экспедицией Центра подводного археологического наследия ИА РАН совместно с Новгородским государственным музеем-заповедником, Новгородской областной Федерацией подводной деятельности (КПДР) при материально-технической поддержке ООО "ИТЦ специальных работ" (Санкт-Петербург).
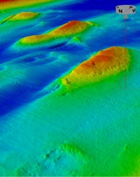
В 2017 году были проведены исследования акватории Волхова многолучевым эхолотом — прибором, который позволяет получить трехмерную картину. Он показал, что параллельно трассе моста XII-XIII века идет ряд бугров на дне. В марте 2018 года археологи исследовали один из участков, находящихся по линии цепи за ее пределами. Они вскрыли полутораметровый культурный слой XIV-XVI веков, а под ним — разрушенную опору неизвестного моста через Волхов.
По данным масс-спектрального анализа, проведенного в ЦКП «Лаборатория радиоуглеродного датирования и электронной микроскопии» Института географии РАН и Центра изотопных исследований Университета Джорджии (США), сосны и ели, из которых была срублена опора, закончили свой рост в период от 932 до 946 года.
«Находка моста столь раннего периода — настоящая сенсация, она в корне меняет сложившиеся представления о ранней топографии и истории Новгорода», — сказал Сергей Трояновский, ведущий научный сотрудник Новгородского музея-заповедника.
Стало понятно, что в середине X века Славенский и Людин концы соединял деревянный мост на срубных опорах. Четыре опоры древнего моста до сих пор возвышаются над уровнем дна в глубокой части русла, а опоры со стороны Детинца покрылись полутораметровым грунтом и образовали мелководное плато.
«Мы начали копать на мелководном плато, отмерив приблизительно такое же расстояние, как между видимыми опорами, и нашли еще одну опору моста. Это подтверждает, что эти видимые структуры уходят в грунт с Софийской стороны и полностью пересекают реку как опоры мостов», — отметил Айвар Степанов.
Снимки дна Волхова, полученные с помощью многолучевого эхолота - мультибима.
Как выяснили археологи, мост был поставлен на ряжевых опорах. Ряж, или, по древнерусской терминологии, городня — это пятиугольный (или шестиугольный) деревянный сруб. Такие городни ставили в основании древнерусских валов или крепостей. Чтобы построить ряжевой мост, городню выводили на нужную точку на реке, и накидывали на нее еще венцы — до тех пор, пока она не опускалась на дно, вставала на грунт и возвышалась над водой. После этого ее засыпали камнями — забутовывали. Ряжевые мосты характерны для Древней Руси, но это очень дорогая и сложная конструкция. Такие мосты известны по этнографическим данным и до сих пор существуют на небольших реках русского севера с каменистым дном.
Остатки древней опоры представляет собой семь венцов пятиугольного сруба, заполненного камнем. Геометрически сруб представлял собой квадрат со сторонами длиной 6 с половиной метров, к одной из которых был пристроен «рогатый угол» длиной 10 метров.
Расстояние между центрами опорами на дне Волхова составили 23 метра. Это говорит о том, что пролеты древнего моста были очень длинными - не менее 17 метров. Как полагают специалисты, такие пролеты должны были иметь комбинированную трапецеидальную, подкосно-ригельную конструкцию или поддерживаться промежуточными свайными или рамными опорами.
Такие пролеты свидетельствуют об очень сложной конструкции моста и высоком уровне мостостроения.
«Поставить такие пролеты из дерева — это невероятно сложно. У древнего моста было меньше 15 опор, в то время как у моста XII-XIV веков их было 23. Получается, что пролеты древнего моста были в два раза длиннее», — отметил Айвар Степанов.
3D реконструкция фрагмента пятиугольного сруба, забутованного камнем.
Как полагают исследователи, такой сложный и большой мост мог существовать не только для связи между небольшими усадьбами, но и выполнять фортификационную функцию - контролировать проход судов по Волхову и защищать город от непрошеных гостей. Не случайно местом для строительства выбран самый узкий и глубокий участок Волхова и Малого Волховца у истока из озера Ильмень. Новгород был расположен на перекрестке речных торговых путей, проходящих в средние века через всю Евразию. Эти пути известны как «Великий Волжский путь» и путь «Из варяг в греки». Именно Волхов был важной магистралью, по которой в Европу шел поток серебра из Арабского Халифата, и кроме него, пути для торговцев не было: вокруг была заболоченная и лесистая местность, в которой еще не построили дороги.
Аналогичная традиция — использовать мосты как укрепления — существовала в европейских государствах в связи с активизацией норманнских грабительских походов. Так, в 862 году франкский король Карл Лысый построил мосты через Сену, чтобы преградить путь норманнским пиратам и защитить крупные города франкского королевства — Бове, Париж и Шартр. Эта тактика имела успех. Подходы к мосту, построенному в Пон-де-л’Арше, охраняли два форта, и когда норманны начали продвижение по Сене, Карл закрыл пролеты моста «боронами». Это позволило задержать наступление норманнов на Париж на четыре месяца. Блокирующие мосты с цитаделями также были построены в Понтуазе и Париже, и норманны смогли взять Париж только после того, как мост Петит Понт, выдержав осаду, рухнул из-за сильных дождей и наводнений.
Ряж (городня). Подводная фотографии экспедиции 2018 года.
Результаты новгородских подводных археологических исследований сделали возможным создание новой музейной экспозиции. Коллекция артефактов насчитывает свыше 4 тысяч предметов, которые свидетельствуют о том, насколько разнообразной была жизнь на средневековом Великом мосту Новгорода. Наиболее выдающиеся экспонаты проиллюстрируют роль этого сложного инженерного сооружения в экономической и политической жизни города.
Новый музей разместится не просто в историческом центре, но и в непосредственной близи от места, на котором возводились мосты через Волхов на протяжении нескольких столетий. Двухэтажный «Караульный дом команды путей сообщения», историческое здание XIX века, уже отреставрирован, проложены необходимые коммуникации. На сегодняшний момент ведутся интерьерные работы и создание экспозиционного оборудования. Открытие музея запланировано на лето 2019 года.
Артефакты и связанные с ними художественно-иллюстративные объекты будут располагаться в трех залах. Первый посвящен истории Великого моста от первых свидетельств до конца XV века. Второй зал отражает период Московского царства, опричного разгрома Новгорода Иваном Грозным в 1570 году, оккупации Новгорода шведами в 1611-1617 годах и Петровскую эпоху на рубеже XVII-XVIII веков. Завершает экспозицию рассказ о судьбе моста в XIX — XX веках.
«В оформлении экспозиции будут использованы игровые, художественные и мультимедийные элементы. Имитация мостовых конструкций, лавок и настилов в разные периоды позволит посетителям ощутить себя участником средневековой торговли на мосту, ведущего из Детинца на Великий ряд городского Торга. Представить мост в 1782 году поможет детальный макет, выполненный ещё в 1980-х годах сотрудником Московского архитектурного института Ларисой Ивановой-Вэен и подаренный ею Новгородскому музею», — рассказал Сергей Трояновский, который выступает соавтором музейного проекта.
На нижнем этаже здания расположится лаборатория, куда будут поступать для первичной обработки и консервации археологические находки со дна реки.
Для Новгородского музея-заповедника создание нового объекта показа — уникальный опыт государственно-частного партнерства. Расходы на приспособление здания и создание экспозиции по Соглашению с музеем взял на себя «Инженерно-технический центр специальных работ и экспертиз», руководит которым Евгений Паль.
Фрагмент карты Новгорода 1672 года.






Посетители, находящиеся в группе Гости, не могут оставлять комментарии к данной публикации.